조황관리HOME / 조황관리 / 상세정보

제목 : 우럭출조
등록일 : 2025-01-25
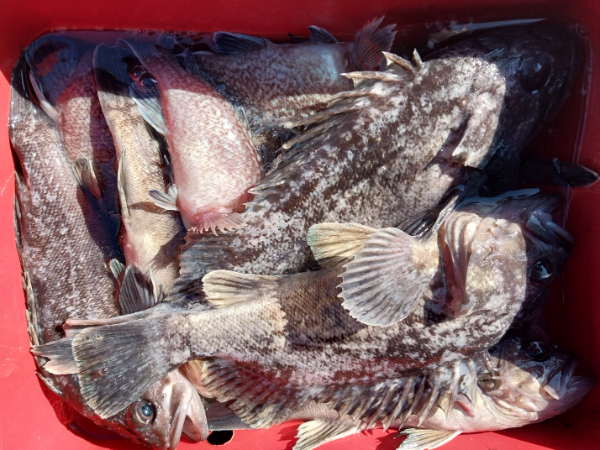
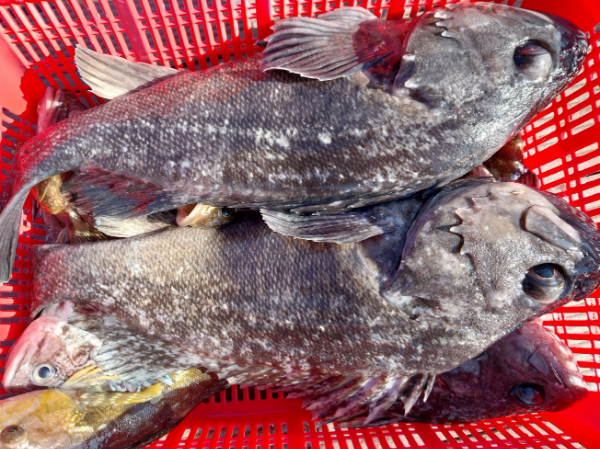
오늘은  우럭출조~~
먼바다까지 나가야해서 새벽5시에  출항했습니다.
예상외로 바람과 너울이  심해  하루종일  힘들었지만
우리 조사님들이 열심히들 해 주셨습니다.
감사하고 또 감사합니다~~
양손가득은  아니지만  드실만끔씩은  안고서  입항합니다.
오늘도 저희 블랙이글스호를 사랑해주신 조사님들 감사합니다 ~~^^
1737787483998-15.jpg


1737787483998-14.jpg


1737787483998-13.jpg


1737787483998-12.jpg


1737787483998-11.jpg


1737787483998-10.jpg


1737787483998-7.jpg


1737787483998-6.jpg


1737787483998-9.jpg


1737787483998-8.jpg

1737787483998-5.jpg


1737787483998-4.jpg


1737787483998-3.jpg


1737787483998-2.jpg


1737787483998-1.jpg





*** 마검포 블랙이글스호 예약 안내 ***


예약문의 : 010-4562-6028

오시는길 : 충남 태안군 남면 당암포구 

모바일.jpg 


Top