조황관리HOME / 조황관리 / 상세정보

제목 : 우럭출조
등록일 : 2025-01-12
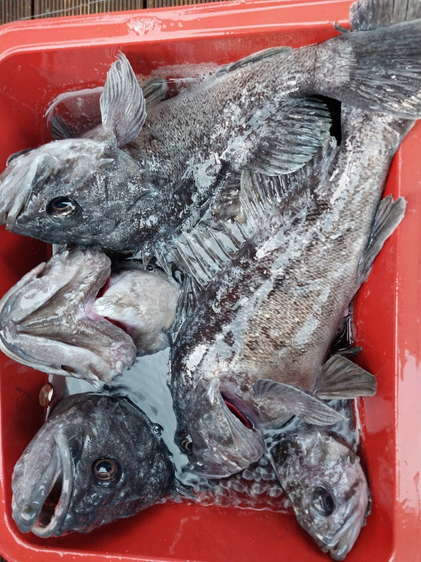
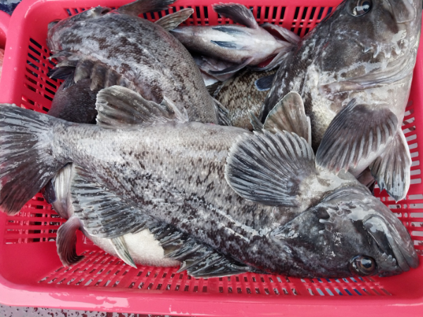
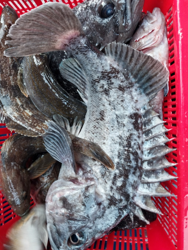
2025년  새해 첫  우럭출조~~^^
먼바다 우럭출조로 새벅 5시에 당암포구에서 출항을
하였습니다.
눈까지 내려  우리 조사님들 걱정  많이들 하셨지만
싸이즈가 장난 아니네요~~
한라인에서5~6명씩 5자이상들 잡아 올리시고
여기저기서 함성소리가 끊이질 않는 하루었습니다.
모든 조사님들이  만족스러운 기분을 안고서 입항했습니다.
오늘도 저희 블랙이글스호를 사랑해주신 조사님들 감사합니다 ~~^^
1736685109047-20.jpg


1736685109047-19.jpg


1736685109047-18.jpg


1736685109047-17.jpg


1736685109047-16.jpg


1736685109047-15.jpg


1736685109047-14.jpg


1736685109047-13.jpg


1736685109047-12.jpg


1736685109047-11.jpg

1736685109047-10.jpg


1736685109047-9.jpg


1736685109047-8.jpg


1736685109047-7.jpg


1736685109047-6.jpg


1736685109047-5.jpg


1736685109047-4.jpg


1736685109047-3.jpg


1736685109047-2.jpg


1736685109047-1.jpg





*** 마검포 블랙이글스호 예약 안내 ***


예약문의 : 010-4562-6028

오시는길 : 충남 태안군 남면 당암포구 

모바일.jpg 


Top