조황관리HOME / 조황관리 / 상세정보

제목 : 마검포항 블랙이글스호 조황입니다.
등록일 : 2024-11-13
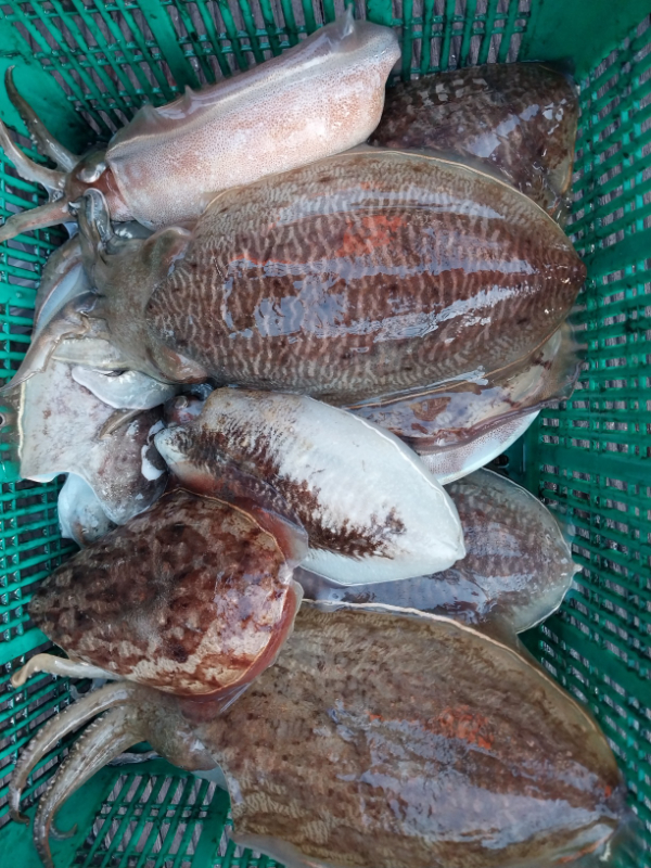
오늘은 올해 마지막 갑오징어 출조였습니다.
다른해에 비해 갑오징어 싸이즈가 엄청 컸던만큼 우리
조사님들 을 기쁘게  해드렸습니다.
내년에도 효자 갑오징어가 되기를 바라면서 갑오징어를
사랑해주신 블랙이글스호  조사님들께 감사합니다.
내일부터 다시 문어출조 합니다~~^^
1731487999287-15.jpg


1731487999287-14.jpg


1731487999287-13.jpg


1731487999287-12.jpg


1731487999287-11.jpg


1731487999287-10.jpg


1731487999287-9.jpg


1731487999287-8.jpg


1731487999287-7.jpg


1731487999287-6.jpg

1731487999287-5.jpg


1731487999287-4.jpg


1731487999287-3.jpg


1731487999287-2.jpg


1731487999287-1.jpg


1731487999287-0.jpg





*** 마검포 블랙이글스호 예약 안내 ***


예약문의 : 010-4562-6028

오시는길 : 충남 태안군 남면 마검포길 176 (자연피싱 낚시점)

모바일.jpg 


Top